Churchyard Photos Aerial views of the churchyard

Churchyard Photos

Aerial views of the churchyard

18 images

Grave stone photos Gravestone photos

Grave stone photos

Gravestone photos

134 images

Aerial view Aerial view of St Michaels Baddesley Clinton
1 Aerial view of St Michaels Baddesley Clinton
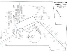
Baddesley Clinton Plan Plan of the graveyard
2 Plan of the graveyard
Baddesley Clinton Plan East Plan of the Eastern portion of the graveyard
3 Plan of the Eastern portion of the graveyard
Baddesley Clinton Plan West Plan of the Western portion of the graveyard
4 Plan of the Western portion of the graveyard
Baddesley Graveyard Index v2.xlsx Plan of the Lawn of Rest
5 Baddesley Graveyard Index v2.xlsx Plan of the Lawn of Rest
Tombstone Survey 1981 front cover A 1981 survey of the older gravestones in Baddesley Clinton Graveyard, full index is downloadable by clicking here
6 A 1981 survey of the older gravestones in Baddesley Clinton Graveyard, full index is downloadable by clicking here
Baddesley Graveyard Index-front cover Index of Names and Grave numbers for Baddesley Clinton Graveyard, full index is downloadable by clicking here
7 Index of Names and Grave numbers for Baddesley Clinton Graveyard, full index is downloadable by clicking here

New images